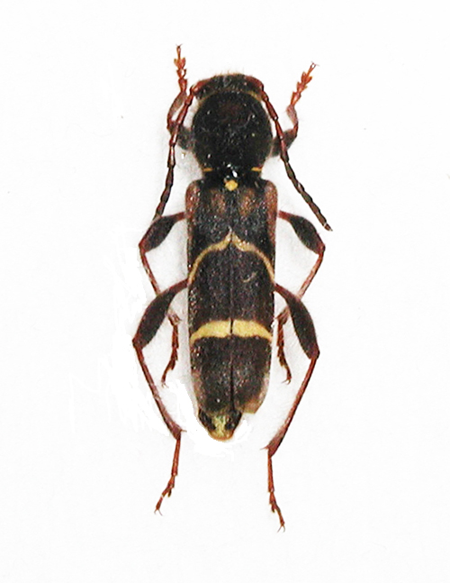
アカネキスジトラカミキリ





近年発見されました.
岡山県の那須さんが採集しました.
ケブカマルクビカミキリ もそうです.
すごい人です.
本州西部に分布します.
幼虫は山地のエゾエノキの枯れ枝を喰います.材中で成虫越冬します.






和名アへ戻る


トラカミキリ一覧へ


楽天モバイル[UNLIMITが今なら1円] ECナビでポインと Yahoo 楽天 LINEがデータ消費ゼロで月額500円〜!


無料ホームページ 無料のクレジットカード 海外格安航空券 解約手数料0円【あしたでんき】 海外旅行保険が無料! 海外ホテル